Sometime this year, the Social Safeway at 1855 Wisconsin Ave. will shut its doors and be torn down. The mid-century suburban style grocery store will eventually be replaced by a brand new “lifestyle center” grocery store.
What does that mean? See after the jump:
As the competition among city grocery stores has heated up over the years, old standbys like Safeway have had to respond to the Whole Foods and Yes! Organic Groceries of the world with a new style of grocery store. Most recently Safeway opened up the first example of this new model in Mount Vernon Triangle called the City Vista Safeway. These new “lifestyle center” grocery stores are characterized by offering more fresh and organic food, as well as brighter less institutional looking layouts. In other words, they’re pursuing a if-you-can’t-beat-them-imitate-them approach.
Safeway has a website up with some of the plans for Social Safeway (and yes, in a somewhat cringe-worthy move, they even call it “socialsafeway.com”). What do some of the plans entail?:
- Moving the whole building right up to Wisconsin to put forward a more urban friendly face
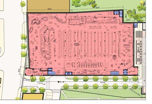
- Putting the grocery on the second floor and constructing 7000 sqf of retail space on the first floor (at the December ANC meeting, a Safeway representative promised that this space would not be rented out to a bank. Hurrah.)
- Constructing 260 parking spaces underneath the grocery store (but not underground); that’s up from the perfectly adequate 190 spaces they currently have, by the way.
- Expanded specialty sections and amenities including a gelato bar, hearth oven, and nut bar (whatever the hell that is)
Safeway hopes to complete the project by 2010, but GM is skeptical they’ll meet that date (the ANC is scheduled to discuss this time table at Tuesday’s meeting). Right now Safeway is engaged in a public relations push to prepare Georgetown for the loss of its only major grocery store. They are trying to educate people about the closest Safeways (sorry Safeway, GM will probably just go to the Tenleytown Giant or the Adams Morgan Harris Teeter). Plus, they’re pushing their home delivery service. In response, at the December ANC meeting, incoming Georgetown University-representing commissioner, Aaron Golds, made the suggestion that Safeway should expand its delivery operation to specifically target Georgetown students. This is a great suggestion. Safeway ought to aggregate the orders (i.e. deliver once a week to a centralized campus location) and waive the delivery fee.
In keeping with the Apple store imbroglio, it’s worth discussing the design. As seen from the above picture, Safeway is planning a red-brick, somewhat traditional design. However, like a lot of K St. buildings, it seems to suffer from its squat dimensions. It’s fantastic that they’re planning a sidewalk fronting store, but this design is rather bland and doesn’t really reflect Georgetown architecture very much. Hopefully it will go through some more changes before they finalize them.
Here’s an overhead plan (notice that they are cutting off most of the small parking lot directly in front of Jellef, hopefully that will be turned into new retail space):







Just wanted to drop by and let you know what a welcome addition to the DC blog scene yours is. Keep up the good work.
there is no Tenleytown Giant.
There is a Safeway at 4203 Davenport NW (half-block off Wisconsin) and 5545 Connecticut Ave NW. If you don’t wanna give up your Safeway card, and have the car to get to these….just sayin.’
The Safeway at 4865 Macarthur Blvd NW (secret Safeway) would be the closest Safeway to Georgetown after social Safeway closes. Its even smaller and less well stocked and always kept at about 40 degrees, but what else do you expect from a Safeway in dc?
the CityVista Safeway nut bar is a semicircular case display with all manner of nuts – roasted, non-roasted, flavored, non-flavored, cashews, macadamias, sunflower seeds and more – available by weight. the best byproduct of the nut bar is the fresh, natural peanut butters Safeway churns out. PB & J never tasted so good.
of all the nuts we have in the East End (and we have a lot of them), the best ones can be found at the Safeway nut bar…rim shot please!
also, welcome to the city ‘hood blogosphere. a G’town neighborhood site was sorely needed in DC.
Pingback: ANC Meeting «
Pingback: Safeway’s Curb Cuts «
where did you get these images? any more, or larger versions?
nevermind, found the link.
Pingback: Safeway Hardship Discount Over «
Pingback: Social Safeway Enters The DC Social Media Scene | Washington D.C. Metblogs
Pingback: Guess Who’s One?: The Second Most Popular Post «