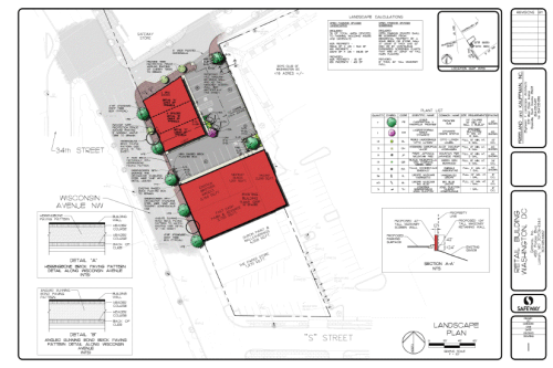
Fresh off the opening of its new Georgetown store, Safeway is planning another major development right next door. They are planning on building a new building (seen above) on the small plot of land just south of the Safeway (between Jelleff and Wisconsin) that was a parking lot but is now just grass. In addition they plan to “re-skin” part of the next building down, which contains the Einstein Brothers’ Bagels and a pawn shop.
Tag Archives: Safeway
The Morning Metropolitan
Georgetown Cupcake by @Heylovedc.
Good morning Georgetown, here’s the latest:
- Artist’s rendering of suspect in Georgetown sexual assault released.
- First weekend of the new Safeway, what did you think? GM heard word that traffic was pretty bad since the lights do not appear to have been adjusted. Hopefully when the hoopla dies down, the crowds will be smaller.
Filed under The Morning Metropolitan
The Morning Metropolitan
Good morning Georgetown, here’s the latest:
- Social Safeway Mark II is open, right now!
- The Safeway gala last night somehow justified an extremely long WaPo article.
- Had enough Safeway yet? Check out the time elapsed movie of the construction.
Filed under The Morning Metropolitan
The Morning Metropolitan
Photo by Rodeomilano.
Good morning Georgetown, here’s the latest:
- Safeway is only four days away.
- Playgirl stops by GU.
- Cool photos from Mt. Zion cemetery.
Filed under The Morning Metropolitan
Safeway Set to Open Next Thursday
After just over a year of construction, the new Safeway is set to reopen next Thursday at 8:00 AM. When will it close?
Never.
In case you missed it, the new Safeway will be open 24-7-365. Including the pharmacy.
And what better way to send the new store off on its way than an A List gala thrown in its aisles Wednesday night. From the press release: Continue reading
Filed under Events, Uncategorized
Safeway Definite Article Fail
Photo via Carol Joynt.
GM noticed from Carol Joynt’s photos inside the new Safeway the above message written in large letters across the store’s walls.
Note to Safeway, acceptable ways to say what you’re trying to say:
- Serving DC Since 1928
- Serving Washington Since 1928
- Serving The District of Columbia Since 1928
You’re not open yet, so you’ve still got time to fix it…
Filed under Uncategorized
The Morning Metropolitan
Photo by David Silverman.
Good morning Georgetown, here’s the latest:
- Check out how the inside of the Safeway is coming.
- Finally a store closing that GM can get behind. Although he wonders where he’ll find his next sick belt buckle.
Filed under The Morning Metropolitan
ANC Round-Up: The Sublime and the Profane Edition
Photo by Uggboy.
As announced in GM’s ANC Preview last week, Ugg Australia will be moving to the old Diesel location on Wisconsin. GM’s already had his say about his take on the popular boots, but he will add that the store design presented last night was down right tasteful. And it’s this balance of the sublime and the profane that seemed to define last night’s meeting.
Trolley Tracks
DDOT came by to update the community on their plans to rehab the trolley tracks on O and P Streets (actually, technically these are streetcar tracks since trolleys are streetcars that use overhead wires, which weren’t used on these streets).
The Sublime: What these streets will look like. Eventually. The tracks will be ripped up, repaired, and replaced with a newly secured foundation. The cobblestones will be ripped up, cleaned up, and replaced. The tracks will be flush with the cobblestones, hopefully preventing any more dangerous driving conditions. The sidewalks will be repaired and the trees protected or replaced.
The Profane: It’ll take a long time to finish. DDOT is estimating 18 months. GM is estimating at least two years. During which travel will be severely disrupted on those streets. Continue reading
Filed under ANC
The Morning Metropolitan
Flooded Watefront by Brownpau.
Good morning Georgetown, here’s the latest:
- Small Georgetown design firm at the center of stemware-based scandal.
- Safeway to reopen May 6th.
- One broken lock several miles up the canal from Georgetown set off flood warnings back down here.
Filed under The Morning Metropolitan
ANC Round Up: Small Country, Short Meeting

Liechtenstein: Actual Size
Last night the ANC made good on GM’s prediction and held what is likely to be its shortest meeting of the year. This was mostly as a result of the fact that the Old Georgetown Board took a powder for January, and that cuts out about half the items from the agenda. Or as Commissioner Birch said “we learned tonight what it’s like to be a commissioner on an ANC that doesn’t have to send 15 projects to the Old Georgetown Board every month.” Although according to what GM’s heard about other ANC’s, like the notorious Foggy Bottom ANC, lacking Old Georgetown Board items is no impediment to interminable meetings.
While the meeting was short on OGB applications, it was still long on interesting items.
Crime Report
Lieutenant Hedgecock gave a presentation on crime and MPD’s efforts in Georgetown. One item at the top of the list was the probable resurfacing of the Georgetown Sexual Assaulter. On early Sunday morning a woman on Calvert St. in Glover Park was awoken with a man hugging her. After he started to make thrusting moves against her she screamed and he ran. As with all the other similar occurences she was unable to give a description of the offender.
Lieutenant Hedgecock gave a little more information on the series of attacks. He stated that years ago a man was arrested for similar offenses. He stated, however, that they do not believe the crimes are connected. He did add, though, that they believe these assaults are being perpetrated by multiple assailants.
One more sad bit: the individual who was found dead underneath the M St. bridge on Thursday was not simply a victim of the cold, as many suspected. He appears to have jumped or fallen off the bridge. Hedgecock could provide no more information on the case. Continue reading
Filed under ANC

















You must be logged in to post a comment.